• Entdecken Sie stern+
    • GEO
    • Capital
    • Crime
  • Medien
    • Audio
    • Video
  • RESSORTS
    • Gesellschaft
      • Klima & Nachhaltigkeit
      • Alle stern-Faktenchecks im Überblick
      • Regionales
      • Archiv
    • Politik
      • Deutschland
      • Ausland
        • Krieg in Nahost
        • US-Wahl 2024: News und Infos zur Präsidentschaftswahl
      • Archiv
    • Panorama
      • Weltgeschehen
      • Verbrechen
      • stern Crime
      • Wetter
      • Archiv
      • Noch Fragen: Die Wissenscommunity vom stern
    • Gesundheit
      • Allergie
      • Diabetes
      • Erkältung
      • Ernährung
      • Fitness
      • Haut
      • Kinderkrankheiten
      • Kopfschmerz
      • Psychologie
      • Rücken
      • Schlaf
      • Sexualität
      • Zähne
      • Archiv
    • Kultur
      • Hörbuch-Tipps
      • Film
      • Musik
      • Bücher
      • TV
      • Kunst
      • Archiv
    • Lifestyle
      • Leute
      • Mode
      • Liebe und Sex
      • Leben
      • Neon
      • Gewinnspiele
      • Archiv
    • Digital
      • Computer
      • Online
      • Smartphones
      • Games
      • Technik
      • Tests
      • Home Entertainment
      • Archiv
    • Wirtschaft
      • News
      • Geld
      • Versicherung
      • Immobilien
      • Job
      • Produkte & Tipps
      • Black Friday
      • Archiv
      • präsentiert von: Homeday
        Immobilienbewertung kostenlos
    • Sport
      • Fußball
      • Formel 1
      • Sportwelt
      • Archiv
    • Genuss
      • Rezepte
        • Rezepte aus dem stern
      • Essen
      • Trinken
      • Trends
      • Anzeige
        Genussreisen
      • Archiv
    • Reise
      • präsentiert von Schweiz Tourismus
        Winter im Wallis
      • Anzeige
        Luxuskreuzfahrten
      • Deutschland
      • Europa
      • Fernreisen
      • Service
      • Archiv
    • Familie
      • Kinder
        • Vom Kita- bis zum Schulalter: Diese Ideen helfen Kindern beim Lernen und Großwerden
      • Beziehung
      • Tiere
      • Anzeige
        Familienreisen
      • Archiv
      • Schädlinge, Unkraut, Gemüseernte & Co.: Alles, was Sie bei der Gartenpflege beachten sollten
    • Auto
      • präsentiert von Shell
        Fahrspaß trifft Fortschritt
      • Autonews
      • Fahrberichte
      • Service
        • Sicherheit
      • E-Mobilität
      • Archiv
    • Kaufkosmos
      • Deals
      • Empfehlungen der Redaktion
      • Geschenkideen
  • Formate
    • stern-Gespräche
    • Vor-Ort-Reportagen
  • Services
    • Newsletter
    • stern-Studien
    • Aboshop
    • Kundenservice & FAQs
    • Spiele
      • Solitär
      • Sudoku
      • Exchange
      • Bubble Shooter
      • Mahjong
      • Snake
  • Unsere sozialen Netzwerke
    • *:Facebook
    • *:Instagram
    • *:TikTok
    • *:X
    • *:Whatsapp
    • *:YouTube
Zum Inhalt springen
Abo testen Login
  • News
  • Inside Pflege
  • Block-Prozess
  • Gesund abnehmen
  • stern+
  • GEO
  • Capital
  • stern Crime
  • Gesellschaft
  • Politik
  • Panorama
  • Gesundheit
  • Lifestyle
  • Kultur
  • Sport
  • Reise
  • Genuss
  • Familie
  • Digital
  • Wirtschaft
  • Auto
  • Kaufkosmos
  • Stiftung stern
  • Panorama
  • Weltgeschehen
  • Hurrikan "Melissa": Jamaika zum Katastrophengebiet erklärt

Zur Galerie Hurrikan "Melissa": Jamaika zum Katastrophengebiet erklärt
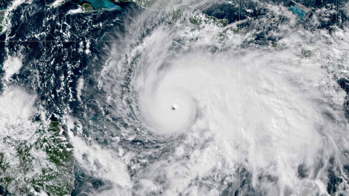
Hurrikan "Melissa" ist auch aus dem Weltall sichtbar. Ein Stück über dem Auge des Hurrikans ist Jamaika schemenhaft zu erkennen. Weiter nördlich liegt Kuba, wo "Melissa" am Mittwoch auf Land treffen soll
Hurrikan "Melissa" ist auch aus dem Weltall sichtbar. Ein Stück über dem Auge des Hurrikans ist Jamaika schemenhaft zu erkennen. Weiter nördlich liegt Kuba, wo "Melissa" am Mittwoch auf Land treffen soll
© Goes-19/Cira/Noaa / Imago Images
Zurück Weiter

Weitere Bilder dieser Galerie

Eine Mutter und ihre Tochter blicken in Kingston auf den näherkommenden Sturm
Hurrikan "Melissa" ist auch aus dem Weltall sichtbar. Ein Stück über dem Auge des Hurrikans ist Jamaika schemenhaft zu erkennen. Weiter nördlich liegt Kuba, wo "Melissa" am Mittwoch auf Land treffen soll
Ein Paar albert in Kingston an einer Palme herum, während drumherum der Sturm heftiger wird
Noch ist "Melissa" nicht auf die Küste Jamaikas getroffen, doch schon Stunden vorher schlägt das Meer hohe Wellen
Wo und wann Hurrikan "Melissa" vorbeiziehen soll
Der Hurrikan könnte der verheerendste in der Geschichte Jamaikas werden. Noch nie ist ein Hurrikan dieser Stärke auf die Karibikinsel getroffen
Hurrikan Melissa bringt Windgeschwindigkeiten von bis zu 280 Kilometern pro Stunde mit sich. Schon vor dem Auftreffen auf Jamaika gibt es wie hier in Kingston Überflutungen
Eine Schutzunterkunft auf Jamaika
In vielen Orten von Jamaika ist mittlerweile der Strom ausgefallen. Hier nutzt eine junge Frau die Zeit, um noch einmal mit Freunden zu chatten
In einer Küche wird in einem der Schutzräume Essen vorbereitet
Ein letzter Spaziergang bevor Melissa auf Jamaika trifft
  • Hurrikan
  • Jamaika
  • Katastrophe
  • Karibik
  • Rotes Kreuz
  • Überschwemmung

PRODUKTE & TIPPS

  • Kleidermotten bekämpfen
  • Elektronische Parkscheibe
  • Spülmaschinentabs ohne Plastik
  • Pheromon Parfum
  • Faltbare Badewanne
  • Vogelhaus mit Kamera
  • Tapetenlöser
  • Algen im Aquarium
29. Oktober 2025,04:24
11 Bilder
Ein Paar albert in Kingston an einer Palme herum, während drumherum der Sturm heftiger wird

Hurrikan "Melissa" Jamaika wird zum Katastrophengebiet erklärt

Kaufkosmos

  • Massagepistolen Test
  • Milchaufschäumer Test
  • Over-Ear-Kopfhörer Test
  • E-Book-Reader Test
  • Stabmixer Test
  • Eismaschine Test
  • In-Ear-Kopfhörer Test
  • Munddusche Test

Mehr zum Thema

28. August 2025,20:34
Überschwemmtes New Orleans nach Hurrikan "Katrina"

Trumps Kürzungspläne Katastrophe mit Ansage

29. August 2025,05:12
Shelia Rainey mit Jarrin vor dem Wohncontainer

20. Jahrestag Hurrikan "Katrina" veränderte ihr Leben. Das sind ihre Geschichten

29. August 2025,05:14
10 Bilder
Ein Hilferuf in Weiß: Diese Menschen haben sich vor dem Wasser auf ihr Hausdach geflüchtet. Sie schwenken amerikanische Flaggen, um Rettungshubschrauber auf ihre Notlage aufmerksam zu machen

New Orleans 20 Jahre Hurrikan "Katrina": Bilder einer unvergessenen Katastrophe

01. Oktober 2025,16:36
2 Min.
Wellen reißen ganze Häuser ins Meer

North Carolina Enorme Hurrikan-Wellen reißen ganze Häuser ins Meer

28. Oktober 2025,05:38
Ein Satellitenbild zeigt Hurrikan Melissa vor der Südküste von Jamaika

Hurrikan "Melissa" Jamaikas Regierungschef warnt vor weitreichender Zerstörung

28. Oktober 2025,11:47
2 Min.
POV einer Drohne über dem Auge des Sturms

Vor Jamaika Sturmjäger fliegen durch Auge von Hurrikan "Melissa"

28. Oktober 2025,21:50
Hurrikan Melissa auf einem Satellitenbild

Wirbelsturm Hurrikan "Melissa" zieht über Jamaika: Verfolgen Sie ihn auf der Live-Karte

22. Oktober 2025,20:21
4 Min.
USA: "Niemand will mehr an der Küste leben. Das ist einfach zu gefährlich"

USA "Niemand will mehr an der Küste leben. Das ist einfach zu gefährlich"

05. Oktober 2025,12:05
1 Min.
Tauchern gelingt sensationeller Millionenfund im Atlantik

Goldschatz Tauchern gelingt sensationeller Millionenfund im Atlantik

Wissenscommunity

Neueste Fragen
  • Wie schneide ich einen Bananenbaum im Kübel, und wohin im Winter ?
  • Bürgerbeteiligung allgemein
  • Kann ich als deutscher Rentner mit deutschem Konto und Wohnsitz in Antalya Türkei einen Account incl. KYC bei Quppy eröffnen?
  • Plate verkleiden
  • Zu viel Wind um Altersdepressionen?
  • Wer kennt diesen Film?
  • Spannende Persönlichkeit
  • Esstisch für 6 Personen
  • werden bei Auxmoney gebühren vor auszahlung verlangt
  • Man Moers/ Duisburg
  • Zur Sendung: zahnpasta
  • Wer erbt zu welchen Teilen
Meist beantwortete Fragen
  • Plate verkleiden
  • Muss das Martinshorn Eingeschaltet sein auch wenn kein Fahrzeug vor diesen ist?
  • Wer erbt zu welchen Teilen
  • Zu viel Wind um Altersdepressionen?

Newsticker

29. Oktober 2025 | 04:27 Uhr

Wirbelsturm "Melissa": "Unter Wasser": Schwere Schäden auf Jamaika nach Hurrikan

29. Oktober 2025 | 04:24 Uhr

Hurrikan "Melissa": Jamaika zum Katastrophengebiet erklärt

29. Oktober 2025 | 03:13 Uhr

USA: Airlines spendieren wegen Shutdown Essen an Flughafenmitarbeiter

29. Oktober 2025 | 02:43 Uhr

Spektakulärer Transport: Bundeswehr-Airbus im Serengeti-Park angekommen

29. Oktober 2025 | 02:40 Uhr

Schüsse und Sprengsätze: Schlag gegen Drogenbande: 64 Tote bei Polizeieinsatz in Rio

29. Oktober 2025 | 00:18 Uhr

Brasilien: 64 Tote bei Polizeieinsatz gegen Drogenbande

28. Oktober 2025 | 23:55 Uhr

Kalenderblatt: Was geschah am 29. Oktober?

28. Oktober 2025 | 22:48 Uhr

Gefährlicher Wirbelsturm: Hurrikan "Melissa" wütet auf Jamaika und steuert auf Kuba zu

28. Oktober 2025 | 21:50 Uhr

Hurrikan Melissa trifft Jamaika: Der Wirbelsturm auf der Live-Karte

28. Oktober 2025 | 20:49 Uhr

Zyklon "Montha": Zyklon trifft auf Indiens Küste – 100.000 Menschen evakuiert

Inhalte im Überblick

Service
  • Die Newsletter von stern.de
  • Die RSS-Feeds von stern.de
  • Aktuelle Nachrichten
  • Archiv
  • Wissenscommunity
  • Themenübersicht
  • Sitemap
  • stern aktuelle Ausgabe
  • Weitere stern Hefte
  • Sonderausgaben
  • stern+
  • stern Crime
  • Browser-Benachrichtigungen
Ratgeber
  • Altersvorsorge
  • Australien
  • China
  • Eigenheim
  • Energiesparen
  • Erbe
  • Geldanlage
  • Krankenkasse
  • Miete
  • New York
  • Südafrika
  • Urlaub
  • Versicherung
  • Gehaltsrechner
  • Solitär (Anzeige)
Gesundheit
  • Allergie
  • Diabetes
  • Erkältung
  • Haut
  • Fitness
  • Kinderkrankheiten
  • Kopfschmerz
  • Rücken
  • Schlaf
  • Sexualität
  • Zähne
Top-Themen
  • Unfall
  • Verbrechen
  • Unwetter
  • Mord
  • Hitze
  • Natur
  • Haustier
  • Häusliche Gewalt
  • Impressum
  • Barrierefreiheitserklärung
  • Redaktionelle Richtlinien
  • AGB
  • Datenschutzhinweise
  • Utiq verwalten
  • Netiquette
  • Verträge hier kündigen
  • Werbung
  • Datenschutz-Einstellungen
  • Kontakt
  • Browserbenachrichtigungen

© G+J Medien GmbH

Stern plus

Zugang zu stern+
statt 11,96 € nur 1 €

  • Alles von stern+ mit erstklassigen Inhalten von GEO und Capital
  • 4 Wochen testen, dann 2,99 € je Woche
  • jederzeit kündbar
Jetzt testen

Bereits registriert? Hier anmelden