Mit über 250 Stundenkilometer zieht Hurrikan "Irma" über die Karibik - er ist einer der stärksten Stürme, die jemals in der Region gemessen wurden. Millionen Menschen wurden von den US-Behörden aufgerufen, sich in Sicherheit zu bringen, die US-Regierung hat die Streitkräfte in Alarmbereitschaft versetzt, um im Fall der Fälle schnell helfen zu können.
Verfolgen Sie die aktuellen Entwicklungen zum Hurrikan "Irma" im stern-Ticker:
+++ 21.36 Uhr: Auswärtiges Amt schaltet Notfall-Nummern +++
Der Hurrikan "Irma" im Atlantik hat auch das Auswärtige Amt in Alarmbereitschaft versetzt. Es wurden zwei Notfall-Nummern geschaltet: Anrufer aus Deutschland können die Nummer 030 5000 3000 wählen, für Anrufer aus USA ist die Botschaft Washington unter 001 202 298 4000 zu erreichen, wie das Außenministerium am Samstagabend in Berlin mitteilte. Beide Nummern seien rund um die Uhr geschaltet. In der deutschen Botschaft in Washington D.C. wurde demnach ein Krisenstab eingerichtet, in Atlanta (US-Bundesstaat Georgia) gebe es einen regionalen Krisenstab. Am Sonntagnachmittag wollte in Berlin der Krisenstab des Auswärtigen Amtes tagen.
+++ 20.09 Uhr: Evo Morales: "Irma" Auswirkung des Kapitalismus +++
Boliviens Staatspräsident Evo Morales macht das kapitalistische Wirtschaftsmodell für die verheerenden Hurrikans in der Karibik und den USA verantwortlich. "Die Zerstörung durch die Hurrikans wird verursacht durch die Luftverschmutzungen des Kapitalismus", teilte Morales bei Twitter mit. Es sei dringend notwendig, zum Klimaabkommen von Paris zurückzukehren, sagte er mit Blick auf den Ausstieg der USA. Der Sozialist Morales kritisiert US-Präsident Donald Trump scharf für diesen Schritt - mit dem Abkommen soll der weltweite Ausstoß von Treibhausgasen verringert werden, um eine unkontrollierbare Erderwärmung zu verhindern.
+++ 20.00 Uhr: Mehr als 50.000 Menschen in Notunterkünften +++
Auf der Flucht vor Hurrikan "Irma" haben im US-Bundesstaat Florida bereits mehr als 50.000 Menschen Zuflucht in Notunterkünften gesucht. Das geht aus Zahlen des Notfallmanagements des Bundesstaates hervor. Insgesamt hatten bis zum Samstagnachmittag mehr als 300 Notunterkünfte geöffnet.
+++ 18.33 Uhr: Nun sollen 6,3 Millionen Menschen ihre Häuser verlassen +++
Im US-Bundesstaat Florida sind insgesamt 6,3 Millionen Menschen aufgefordert worden, sich vor dem gefährlichen Hurrikan "Irma" in Sicherheit zu bringen. Das sagte der Gouverneur des Bundesstaates, Rick Scott, am Samstag. Damit stieg die Zahl der von Evakuierungsmaßnahmen betroffenen Menschen um 700.000.
+++ 17.54 Uhr: Häftlinge von Florida Keys aufs Festland verlegt +++
Wegen des gefährlichen Hurrikans "Irma" haben die Sicherheitsbehörden mehrere hundert Gefängnisinsassen von der Inselgruppe der Florida Keys auf das Festland verlegt. Die 460 Häftlinge wurden am frühen Samstagmorgen mit Bussen nach Palm Beach County gebracht, wie das Büro des örtlichen Sheriffs mitteilte. "Es ist eine harte Angelegenheit, so viele Insassen so schnell zu verlegen", erklärte Sheriff Rick Ramsay.
+++ 17.25 Uhr: "Irma" auf Kategorie 3 herabgestuft +++
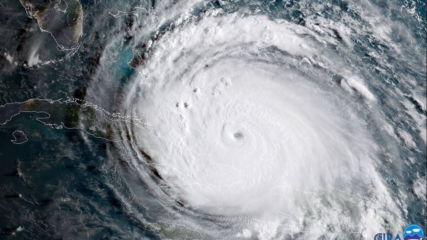
Der Hurrikan "Irma" hat sich bei seinem Zug nach Florida weiter abgeschwächt, gilt aber immer noch als extrem gefährlich. Das Hurrikanzentrum in Miami stufte den Sturm in die Kategorie 3 der fünfstufigen Skala hinab. Die Meterologen warnten aber davor, dass der Hurrikan wieder an Stärke gewinnen könne, bevor er auf die Inselgruppe der Florida Keys trifft. "Irma" erreichte demnach bei seinem Zug über den Norden Kubas Windstärken von bis zu 205 Kilometern pro Stunde.
+++ 16.10 Uhr: Floridas Gouverneur rät eindringlich zur Evakuierung +++
Kurz bevor "Irma" den US-Bundesstaat Florida erreichen sollte, hat dessen Gouverneur Rick Scott noch einmal eindringlich vor dem Hurrikan gewarnt. "Das ist ein katastrophaler Sturm", sagte Scott am Samstag bei einer live im Fernsehen übertragenen Pressekonferenz. "So etwas haben wir noch nie gesehen, er ist größer als unser Bundesstaat."
Scott rief alle Menschen in Evakuierungszonen erneut dringend auf, ihre Häuser sofort zu verlassen und Schutzräume aufzusuchen. Der Hurrikan könne tödlich sein. "Wenn Sie in einer Evakuierungszone sind, werden Sie die Flutwellen nicht überleben."
+++ 15.45 Uhr: "Niemand sollte mit seinem Leben spielen" +++
Auf der von Hurrikan "Irma" bedrohten Inselgruppe der Florida Keys haben die Behörden die verbliebenen Menschen aufgerufen, die Gegend zu verlassen. "Noch gibt es ein kleines Fenster, um herauszukommen, aber es schließt sich schnell", erklärte der Krisenmanager von Monroe County, Martin Senterfitt, in einem Facebook-Aufruf.
Das Zentrum des Sturms könnte die Florida Keys den Vorhersagen zufolge am Sonntagmorgen (Ortszeit) erreichen. Es wird erwartet, dass der Hurrikan mit Windstärken von bis zu 250 Kilometern pro Stunde auf Land trifft.
Nach Angaben des Bezirks wurden alle Krankenhäuser und Notaufnahmen auf der Inselgruppe geschlossen. Notunterkünfte gab es auf den Inseln nicht. Die Behörden richteten aber vorübergehende Zufluchtsstätten ein. Auf der Inselgruppe leben rund 70 000 Menschen.
"Das ist der große Hurrikan, vor dem wir uns alle auf den Florida Keys gefürchtet haben", sagte Bezirksverwalter Roman Gastesi. "Niemand sollte mit seinem Leben spielen. Wenn ihr die Keys verlassen könnt, solltet ihr das jetzt tun. Wartet nicht."
+++ 15.33 Uhr: "Irma" verliert an Kraft +++
Der Hurrikan "Irma" hat bei seinem Zug über den Norden Kubas etwas an Kraft verloren. Der Tropensturm erreichte am Samstag Windgeschwindigkeiten von bis zu 215 Kilometern pro Stunde, wie das US-Hurrikan-Zentrum in Miami mitteilte. Die Meteorologen warnten aber davor, dass der Hurrikan vor seinem Eintreffen auf der Inselgruppe der Florida Keys wieder an Stärke gewinnen könnte.
Nach den Vorhersagen könnte das Zentrum von "Irma" dort am frühen Sonntagmorgen (Ortszeit) an Land treffen. Nach den Modellen würde der Sturm dann später am Tag nach Westen abschwenken und die Westküste Floridas hinaufziehen.
+++ 14.30 Uhr: Diesen Kurs nimmt "Irma" +++
Der wieder auf Kategorie fünf hochgestufte Hurrikan bewegt sich weiter auf den US-Staat Florida zu. Welchen Kurs "Irma" nehmen könnte, haben die Experten des US-Hurrikanzentrums berechnet:
- Am Mittwoch um etwa 1 Uhr Ortszeit (7.00 MESZ), zog "Irma" über die Karibikinsel Barbuda. Mittags hatte der Sturm die Jungferninseln erreicht. Am Mittwochabend war der Sturm nördlich des US-Außengebiets Puerto Rico.
- Am Donnerstag um 2 Uhr morgens (8.00 MESZ) befand sich das Zentrum des Hurrikans 225 Kilometer nordwestlich von Puerto Ricos Hauptstadt San Juan.
- In der Nacht zu Freitag passierte "Irma" Haiti und war um 2 Uhr morgens (8.00 MESZ) östlich von Kuba. Am frühen Freitagmorgen zog der Hurrikan auch über die südlichen Ausläufer der Bahamas.
- Im Laufe des Samstags sollte "Irma" nördlich an Kuba entlangziehen.
- "Irma" zieht den Prognosen zufolge dann weiter in Richtung Florida.
- Die ersten Ausläufer könnten den US-Staat demzufolge am Samstag um 8 Uhr (14 Uhr MESZ) erreichen, das Zentrum des Sturms am frühen Sonntagmorgen.
- Später könnte "Irma" sich entlang der US-Ostküste bis zur Grenze der Bundesstaaten Georgia sowie South und North Carolina bewegen.
+++ 12.53 Uhr: Ausgangssperre auf Karibikinsel Saint-Martin +++
In dem von Hurrikan "Irma" stark zerstörten französischen Überseegebiet Saint-Martin haben die Behörden eine nächtliche Ausgangssperre verhängt. Die Sperre gelte von 19 Uhr abends bis 7 Uhr morgens (Ortszeit), teilten die örtlichen Behörden am Samstag mit. Die Maßnahme solle bis mindestens Mittwochmorgen in Kraft bleiben.
Mit der Ausgangssperre soll - auch wegen der Bedrohung durch Hurrikan "José" - das Risiko für Menschen und Eigentum minimiert werden. Die zwischen den Niederlanden und Frankreich geteilte Karibikinsel wurde schwer getroffen. Der französische Teil sei "zu 95 Prozent zerstört", sagte der Präsident des Territorialrats von Saint-Martin, Daniel Gibbs. Es gab Berichte über Plünderungen, Paris entsandte zusätzliche Polizeibeamte nach Saint-Martin.
+++ 12.46 Uhr: "Irma" kurz vor Florida +++
Der Hurrikan "Irma" nähert sich unaufhaltsam dem US-Bundesstaat Florida. Der "Sunshine State" und seine Bewohner müssen sich auf das schlimmste Szenario vorbereiten, denn der Sturm bleibt extrem gefährlich. Das Zentrum von "Irma" könnte den jüngsten Prognosen des US-Hurrikanzentrums zufolge am Sonntagnachmittag (Ortszeit) die Südwestküste der Halbinsel erreichen. In der Karibik hatte der Sturm eine Schneise der Zerstörung hinterlassen. Der Sender CNN berichtete von mindestens 24 Toten.
Auf den Florida Keys erwarteten die Experten am Samstagmorgen Wind von bis zu 118 Kilometern in der Stunde. Nach jüngsten Vorhersagen könnte das Zentrum von "Irma" dort am Sonntagmorgen mit Windstärken von bis zu 250 Kilometern pro Stunde an Land treffen. "Nirgends auf den Florida Keys wird es sicher sein", schrieb der Nationale Wetterdienst im Kurznachrichtendienst Twitter. Die Inselkette hat rund 70 000 Einwohner.
Auf beiden Seiten der Halbinsel Florida bereiten sich die Menschen auf ein Katastrophenszenario vor. Meteorologen warnten an beiden Küsten vor orkanartigen Winden und meterhohen Sturmfluten. Mehr als 5,6 Millionen Menschen - etwa ein Viertel der Bevölkerung - wurden von den Behörden aufgefordert, sich in Sicherheit zu bringen.
Für die gesamte Südküste Floridas, vom Atlantik bis in den Golf von Mexiko, gilt eine Warnung vor bis zu drei Meter hohen Wellen. Im Osten erstreckte sich die Gefahrenzone bis fast nach Melbourne, im Westen bis nach Tampa. In den benachbarten Bundesstaaten wurde der Notstand ausgerufen. Modelle des Hurrikanzentrums sehen "Irmas" Zug bis hinauf nach Atlanta reichen. In seiner Folge werden Überflutungen auch an den Küsten Georgias sowie South und North Carolinas erwartet.
+++ 12.00 Uhr: Fünf Tote in britischen Überseegebieten +++
In den britischen Überseegebieten in der Karibik sind mindestens fünf Menschen durch Hurrikan "Irma" ums Leben gekommen. Die Britischen Jungferninseln meldeten vier Opfer und Anguilla einen Todesfall, berichteten britische Medien. Einige Regionen könnten durch den nächsten Hurrikan "Jose" wieder bedroht sein. Anguilla, die Britischen Jungferninseln sowie die Turks- und Caicosinseln waren von dem mächtigen Wirbelsturm voll getroffen worden. Zahlreiche Häuser sind zerstört und fast alle Straßen unpassierbar. Die Insel Montserrat kam einigermaßen glimpflich davon.
+++ 10.40 Uhr: Barbuda zu 90 Prozent zerstört +++
Nach den schweren Verwüstungen durch Hurrikan "Irma" bedroht nun der Wirbelsturm "José" Inseln der Kleinen Antillen in der Karibik. "José", ein Hurrikan der zweithöchsten Kategorie vier, nähere sich den Inseln Antigua und Barbuda, warnte der Wetterdienst des Inselstaats in der Nacht zum Samstag (Ortszeit). Der Sturm befinde sich derzeit etwa 200 Kilometer östlich der Inseln. Windgeschwindigkeiten von bis zu 240 Kilometer in der Stunde wurden gemessen.

"Irma" zerstörte nach Angaben der Regierung etwa 90 Prozent von Barbuda und machte die Insel praktisch unbewohnbar. Die Bevölkerung von weniger als 2000 Menschen wurde vor dem Eintreffen von "Jose" auf die Nachbarinsel Antigua in Sicherheit gebracht.
Im weiteren Weg des Sturms liegen die französischen Überseegebiete Saint-Bartélémy und Saint-Martin, wie die französische Wetterwarte mitteilte. Dort starben durch "Irma" mindestens elf Menschen. Der nördliche Inselteil Saint-Martin gehört zu Frankreich, der südliche - Sint Maarten - zu den Niederlanden.
+++ 10.05 Uhr: "Tui" ruft Urlauber auf: "Reisepläne überdenken"
Karibik-Touristen kamen laut Reiseveranstalter "Tui" bislang relativ glimpflich vor "Irma" davon, in der Dominikanischen Republik sollte der Luftverkehr fortgesetzt werden. Mit Blick auf Kubas Nordküste, die Bahamas und Florida jedoch riet der Konzern am Freitag "allen deutschen Urlaubern, die in den nächsten Tagen dorthin reisen wollen, dringend, ihre Reiseabsichten zu überdenken". Die Frist für gebührenfreie Umbuchungen und Stornierungen wurde für diese Ziele bis zum 14. September verlängert.

+++ 9.24 Uhr: Benzin könnte durch "Irma" teurer werden +++
Hurrikan "Irma" könnte nach seinem Vorgänger "Harvey" die Spritpreise weiter nach oben treiben und die Wirtschaft im US-Bundesstaat Florida schwer treffen. Dies schätzen Experten des internationalen Analyse- und Beratungsunternehmens Capital Economics.
Selbst wenn "Irma" wohl nicht ins ölreiche Texas zieht, sondern am Wochenende weiter östlich auf Land trifft, dürfte der Effekt auf die Ölpreise merklich sein, warnten die Analysten: "Da bis zu 10 Prozent der Kapazitäten in den Raffinerien am Golf noch außer Betrieb sind, wird 'Irma' mehr Aufwärtsdruck auf die Benzinpreise ausüben."
+++ 9.00 Uhr: Weltraum-Aufnahme verdeutlicht Größe von "Irma" +++
Die US-Raumfahrtbehörde NASA hat ein von der Internationalen Raumstation ISS aufgenommenes Video des Hurrikans veröffentlicht. Es verdeutlicht die gewaltigen Ausmaße des Turms.
+++ 6.25 Uhr: Baseball-Liga verlegt Spiele +++
Die nordamerikanische Baseball-Liga MLB hat sich dazu entschieden, die bevorstehende Serie zwischen den Tampa Bay Rays und den New York Yankees nach New York zu verlegen. Grund für die Verlegung der drei-Spiele-Serie, die von Montag bis Mittwoch im Tropicana Field in St. Petersburg im US-Bundesstaat Florida geplant war, ist Hurrikan "Irma".
+++ 5.47 Uhr: Benzinmangel erschwert Evakuierungsmaßnahmen +++
Allein in der Metropolregion Miami riefen die Behörden 650 000 Menschen zum Verlassen ihrer Häuser auf. Es handele sich um die größte Evakuierung in der Geschichte der Region, sagte Carlos Giménez, Bürgermeister des Bezirks Miami-Dade. In der Region leben rund 5,5 Millionen Menschen. Die Behörden öffneten zusätzliche Notunterkünfte.
Die Evakuierungsmaßnahmen wurden allerdings mancherorts dadurch erschwert, dass das Benzin knapp wurde. Das Weiße Haus zeigte sich beunruhigt. Die Regierung hob eine gesetzliche Regelung auf, wonach nur Tanker unter US-Flagge Treibstoff von einem amerikanischen Hafen zu einem anderen liefern dürfen, wie der Heimatschutzberater des Weißen Hauses, Tom Bossert, sagte.

+++ 5.40 Uhr: "Irma" in Kuba auf Land getroffen +++
Der Hurrikan "Irma" ist am späten Freitagabend (Ortszeit) in Kuba auf Land getroffen. Der Wirbelsturm, der inzwischen wieder auf der höchsten Kategorie 5 eingestuft wurde, prallte auf das Camaguey-Archipel, wie US-Meteorologen mitteilten. Das Auge des Sturms befand sich um 05.00 Uhr MESZ etwa 190 Kilometer südöstlich der kubanischen Stadt Caibarién und etwa 480 Kilometer südöstlich von Miami im US-Bundesstaat Florida, wie das Nationale Hurrikanzentrum (NHC) der USA erklärte.
Die Windgeschwindigkeit betrug bis zu 260 Stundenkilometer. Der Hurrikan bewegte sich den Angaben zufolge mit 20 Stundenkilometern in Richtung West-Nordwest. In Kuba waren zuvor nahezu eine Million Menschen in Sicherheit gebracht worden. Wie der Katastrophenschutz mitteilte, kamen viele Menschen bei Verwandten oder in öffentlichen Schutzräumen unter. An der Nordküste Kubas waren zudem 10.000 ausländische Touristen in Sicherheit gebracht worden.
+++ 4.12 Uhr: Donald Trump wendet sich an Menschen in betroffenen Regionen +++
US-Präsident Donald Trump rief die Menschen in den betroffenen Regionen zu äußerster Vorsicht und zum Beachten der Empfehlungen der Behörden. "Dies ist ein Sturm mit einem absolut historischen Zerstörungspotential", erklärte er.
+++ 4.04 Uhr: Millionen Menschen zur Flucht aufgerufen +++
Nachdem Hurrikan "Irma" in der Karibik eine Schneise der Zerstörung hinterlassen hat, rüstet sich der US-Bundesstaat Florida für das schlimmste Szenario. 5,6 Millionen Menschen in dem Staat wurden aufgefordert, sich in Sicherheit zu bringen, wie der Hurrikan-Beauftrage Andrew Sussman laut der Zeitung "Tampa Bay Times" sagte. Es wurde erwartet, dass der Sturm Florida am späten Samstag oder Sonntag erreicht.
+++ 3.19 Uhr: Behörden geben Verhaltenshinweise +++
In Florida gaben die Polizei von Orlando und die Stadt Miami Beach einige "Hurrikan-Profi-Tipps" vor dem heranziehenden Hurrikan "Irma". In Orlando erklärte die Polizei Spülmaschinen zu sicheren Stauräumen. "Wenn Sie Ihre Dinge in einem geschlossenen Geschirrspüler unterbringen, werden sie trocken bleiben", twitterte die Polizei am Freitag. "Natürlich im ausgeschalteten Zustand."
Die Stadtverwaltung von Miami riet auf Twitter: "Füllen Sie Ihre Waschmaschine mit Eis und den Dingen, die Sie kühl halten wollen. Schließen Sie den Deckel, und es wird kühl bleiben." Eis wird in den USA in viel größeren Mengen angeboten und gekauft als in Deutschland.
Anwohner wurden aufgerufen, ihre Mülltonnen von den Straßen zu holen, bevor das Wasser kommt. "Sie könnten zu Projektilen gegen ihr Haus werden", hieß es. Kühlschränke und Eisschränke sollten auf die höchste Stufe hochgefahren werden, damit sie vor einem möglichen Ausfall möglichst kalt seien.
++ 0.26 Uhr: Hunderttausende auf der Flucht +++
Vor dem anrückenden Wirbelsturm sind derzeit hunderttausende Einwohner in Florida auf der Flucht. Auf den beiden Highways entlang der Küsten des US-Bundesstaats bewegten sich Stoßstange an Stoßstange endlos scheinende Autokolonnenlangsam nach Norden, wie Reporter der Nachrichtenagentur AFP berichteten. Die Meteorologen erwarteten, dass "Irma" am Samstagabend (Ortszeit) mit Windgeschwindigkeiten von 240 Stundenkilometern auf die Südküste von Florida prallen wird.
+++ 0.20 Uhr: US-Militär mobilisiert tausende Soldaten +++
In Erwartung des Monster-Hurrikans "Irma" hat das US-Militär tausende Soldaten mobilisiert. Die Gouverneure von Puerto Rico, den Amerikanischen Jungferninseln und Florida versetzten insgesamt fast 14.000 Angehörige der Nationalgarde in Alarmbereitschaft, wie das US-Verteidigungsministerium mitteilte. Damit sollten Such- und Rettungsmissionen sowie Evakuierungen unterstützt werden.
Mehrere große Marineschiffe bereiteten sich zudem auf Hilfseinsätze vor. Zusätzlich zu den bereits wegen Hurrikan "Harvey" mobilisierten Schiffen wurden die "USS Kearsarge" und die "USS Oak Hill" entsandt. Die "USS Wasp" übernahm den Transport von Verletzten von den Jungferninseln. Wie die Marine mitteilte, sollte sich ferner der Flugzeugträger "USS Abraham Lincoln" auf den Weg in die Region machen.